3 BHK Apartment
1,067 - 1,437 sq ft



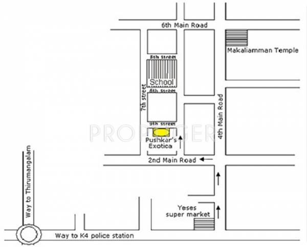
Exotica is a premium housing project launched by Pushkar in Anna Nagar, Chennai. These 3 BHK Apartment in Chennai Central are available from 1067 sqft to 1437 sqft. Among the many luxurious amenities that the project hosts are Garden, CCTV, Swimming Pool, Security, Intercom etc.
