


- Possession Start DateMay'13
- StatusCompleted
- Total Launched plots12
- Launch DateJul'12
- AvailabilityResale
- RERA IDRera Not Available
More about Manas Enclave Phase III
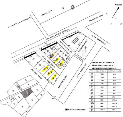
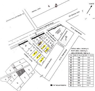
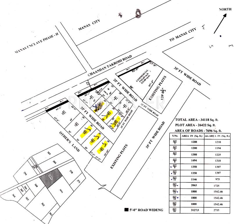
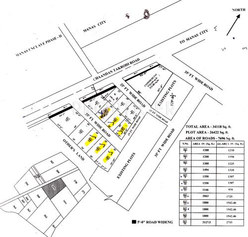
Indira Nagar region of Lucknow is all getting set by the ongoing real estate projects of Manas Group Enclave Phase III. This company has developed a project which offers plots, which are in under construction phase for building 4 BHK apartments. The area of the plots is about 1146 to 3127 sq ft. There are various other developments projects going on in this area. This area has all required necessities like school, hospital, park, restaurant, bank, petrol pump, ATM, bus station, etc. all in the n...View more
Manas Enclave Phase III Price List
| Area | Price |
|---|---|
| 1146 sq ft | - |
| 1200 sq ft | - |
| 1288 sq ft | - |
| 1300 sq ft | - |
| 1350 sq ft | - |
| 1494 sq ft | - |
| 1800 sq ft | - |
| 2063 sq ft | - |
| 3127 sq ft | - |
- Car Parking
- Power Backup
- 24 Hours Water Supply
- Fire Fighting System
- Earthquake Resistant Structure
- Landscape Garden and Tree Planting
Manas Enclave Phase III Gallery

About Manas Group

- Years of experience32
- Total Projects15
- Ongoing Projects1


















